cancel
Showing results for 
Search instead for 
Did you mean: 
EN
cancel
Showing results for 
Search instead for 
Did you mean: 
rob2218
Enthusiast

Survey hand drawn - how to make the angles for the property

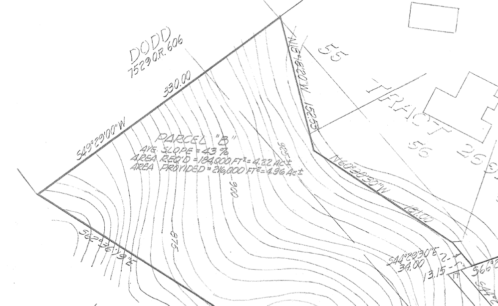
So..was sent this survey.
it was "hand drawn" a while while back.
has contours, property line lengths and property line "angles".

I know in acad...you type at the command line "145'@15D33'21"W" and it'll project that specific distance "and" angle and you can create your property line with the correct property line lengths and angles per the survey.

What are the command line keyboard strokes that you can use to do the same think in Archicad?
I've usually just been handed a DWG file, used that to draw over my property line pline, then create mesh from that "loosely" based on the contours but on a hand drawn property line map...how would you do the property lines different angles?

SITE-W-CONTOURS.png
...Bobby Hollywood live from...
i>u
Edgewater, FL!
SOFTWARE VERSION:
Archicad 22, Archicad 23
Windows7 -OS, MAC Maverick OS
7 Replies 7
Anonymous
Not applicable
Rob,

Easy-peasy, man! Here's how it works:

The bearings are given east or west deviation from north or south. So:

For a mete expressed N 20d 30' 15" W, you would assume a line bearing due north, then rotate it 20d 30' 15" to the west, using it's southern endpoint as the point of rotation; i.e., it would rotate to the left on your screen.

If the basis bearing is South, you'd swing the line from it's northerly endpoint; to the left for westerly or the right for easterly.

In the US versions of AC, there's a setting for 'Surveyor's Units' on angular dimensions in the Preferences menu. In that case, you can type in the mete values right into the angle input box of your line command.

If you're still having trouble, send me the file and I'll lay it out for you this evening. My contact data is on the 'Contact' page of my website.

Hope that helps.
rob2218
Enthusiast
Hey David!!!....good hearin from ya sir...you the man dude!

I'll give it a shot.
I thought it'd be something simple like that....thanks for the explanation.

and thanks for the offer of laying it out....much much appreciated.
...Bobby Hollywood live from...
i>u
Edgewater, FL!
SOFTWARE VERSION:
Archicad 22, Archicad 23
Windows7 -OS, MAC Maverick OS
Anonymous
Not applicable
Rob,

No problem! I think you'll see how it works once you try it. What you have there is how all metes and bounds are expressed in my region (Southern California). I could see it being strange if you lived in a place where they do it by compass bearings instead or northings / southings.

In Hawaii, where I also do a lot of work, they do it by compass bearings... Except north is 90 degrees, and the rotation is clockwise. Totally weird. Archicad has no preset for THAT... Have to noodle it with organic computing.

Enjoy!

ETA... Make that CLOCKWISE in Hawaii... Anyhow... Reverse of 'normal'. It's so weird, I couldn't even say it right!
rob2218
Enthusiast
so...just to be clear..I actually "type" just like you typed it?
with keyboard strokes as "N 20d 30' 15" W"

Just like this...with the spaces in between the letter and number?
...Bobby Hollywood live from...
i>u
Edgewater, FL!
SOFTWARE VERSION:
Archicad 22, Archicad 23
Windows7 -OS, MAC Maverick OS
Anonymous
Not applicable
Rob,

No spaces. I just did that so it would look clearer.

When I do it, I start a 'line' command, get it kinda' pointing the right way, then just hack the numbers in the 'a' box, and input the bound (length) in the 'r' box. I never really type in the whole thing.

There you go!
Anonymous
Not applicable
And.... One other little time saver..

I Ctrl-C the value of the 'a' box, and Ctrl-V it into the text tool to make the annotation on the drawing... That way, I don't have to hunt down the little 'degree' symbol when doing the mete and bound text for each property line.
Anonymous
Not applicable
Dave wrote:
Rob,
In Hawaii, where I also do a lot of work, they do it by compass bearings... Except north is 90 degrees, and the rotation is clockwise. Totally weird. Archicad has no preset for THAT... Have to noodle it with organic computing.
Easy. Start your line, constrain cursor to North direction, hit D (or R) and type length in the appropriate field, hit A for Angle and enter angle figure, followed by - (minus sign) before hitting Enter. This will measure the angle clockwise from North.
Also, what works here in Metric world at least, when entering angles (with preferences set to Degrees, minutes and seconds), use spaces between numbers, so 20d 30' 15" is just 20 30 15

Still looking?

Browse more topics

Back to forum

See latest solutions

Accepted solutions

Start a new discussion!