cancel
Showing results for 
Search instead for 
Did you mean: 
cancel
Showing results for 
Search instead for 
Did you mean: 
Modeling
About Archicad's design tools, element connections, modeling concepts, etc.

Problem with incorrect roof intersections in floor plans

Anonymous
Not applicable
Hi!
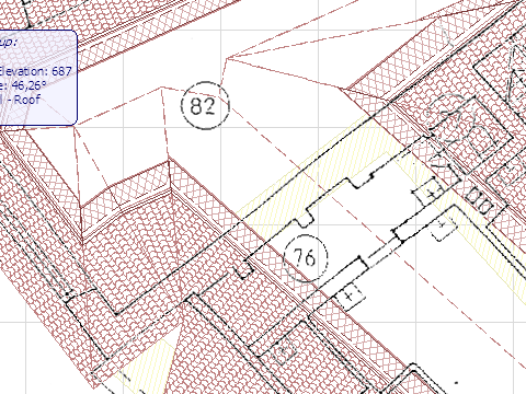
Problem arises when roof thickness is constant (using composites) but the roof slant angle differs (with variable vertical eaves height). In 3D the cut is correct if you use cutting planes. I see what causes the problem (inner corner of the roof intersection does not actually position on the same line as the outer ridge) but is there any usable workarounds to correct this discord in floor plans?
Thanks!

01.png
4 REPLIES 4
Anonymous
Not applicable
I'd use the roof intersection command (selecting the first roof - ctrl*click the second roof) This method will deterime where on the plan the roofs will intersect as well as adjust the angle of intersection between the two roofs to compensate for the difference in roof slope.
Anonymous
Not applicable
Dom wrote:
I'd use the roof intersection command (selecting the first roof - ctrl*click the second roof) This method will deterime where on the plan the roofs will intersect as well as adjust the angle of intersection between the two roofs to compensate for the difference in roof slope.


Already did that. In 3D the intersections are absolutely correct, that's why this situation in floor plan is peculiar. Is this common?
02.png
Thomas Holm
Enthusiast
sinatropus wrote:
Already did that. In 3D the intersections are absolutely correct, that's why this situation in floor plan is peculiar. Is this common?
I've had a similar problem.
If your model is correct and the issue pertains only to the floor plan, the easiest way around this is to use a 2D patch (marquee the area, Document Extras > Create Patch)
AC4.1-AC26SWE; MacOS13.5.1; MP5,1+MBP16,1
Anonymous
Not applicable
Thomas wrote:
sinatropus wrote:
Already did that. In 3D the intersections are absolutely correct, that's why this situation in floor plan is peculiar. Is this common?
I've had a similar problem.
If your model is correct and the issue pertains only to the floor plan, the easiest way around this is to use a 2D patch (marquee the area, Document Extras > Create Patch)


Too bad we have to utilize static measures (again!) to obtain satisfactory results in floor plan because it doesn't correspond to the 3D model and sections.

Thanks!