閲覧
すべて
このカテゴリ
記事
ユーザー
製品
キャンセル
提案をオンにする
自動提案では、入力時に可能な一致が提案されるので検索結果を素早く絞り込むことができます。
次の結果を表示
次の代わりに検索
もしかして:
フォーラム
インストール&アップデート
ライセンス
モデリング
ライブラリ&オブジェクト
ドキュメント
ビジュアライズ
BIMx
プロジェクト管理
パラメトリックデザイン
サスティナブルデザイン
チームワーク&BIMcloud
OPEN BIM
フリートーク
Our Community
ナレッジベース
インストール&アップデート
ライセンス
Archicadをはじめよう
モデリング
ライブラリ&オブジェクト
ドキュメント
ビジュアライズ
BIMx
プロジェクト管理
チームワーク&BIMcloud
OPEN BIM
Communityの使い方
Building Together
Insights
Archicadユーザーグループ
ユーザーグループ紹介
ユーザーグループからのお知らせ
Archicadユーザーグループマガジン
施工ユーザーグループ メンバー専用
ワークフロー研究会 メンバー専用
USERFEST
USERFEST 2022
USERFEST 2023
USERFEST 2024
USERFEST 2025
チャレンジ(コンテスト)
Your Best Design Option
BIM相談室 配信情報
How to use Archicad - NEW
ウィッシュリスト
ロードマップ
Graphisoft テクノロジープレビュープログラム 2025
フォーラム
新機能ガイド
ダウンロード
製品ヘルプ
Service & Support
スキルアップ動画
International
Deutsch
Français
日本
Português (Brasil)
search
ヘルプ
サインイン
すべて
このカテゴリ
記事
ユーザー
製品
キャンセル
提案をオンにする
自動提案では、入力時に可能な一致が提案されるので検索結果を素早く絞り込むことができます。
次の結果を表示
次の代わりに検索
もしかして:
BMP10
BIM マネージャープログラム、11/4からライブクラス スタート。
受講生募集中!詳しくは
こちら
をご覧ください!
日本コミュニティ
:
ナレッジベース
:
ドキュメント
:
図面を回転してレイアウトに配置する
オプション
RSS フィードを購読する
新着としてマーク
既読としてマーク
ブックマーク
この話題を購読する
印刷用ページ
不適切なコンテンツを報告
図面を回転してレイアウトに配置する
Michitaka Kiriki
Graphisoft
オプション
RSS フィードを購読する
新着としてマーク
既読としてマーク
ブックマーク
この話題を購読する
印刷用ページ
不適切なコンテンツを報告
2016-06-10
07:00 PM
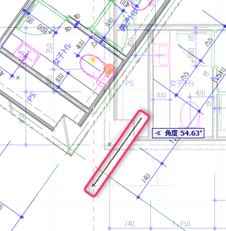
レイアウトに配置する前にビューを回転してから配置すると、テキストや寸法等の水平を保持させられます。
手順1:平面図のウィンドウ左下の「位置を回転」をクリックして平面図を回転させます
手順2:「移動とコピー」と同様に回転させたい中心点をクリックして回転させます
手順3:テキストや寸法は回転に対応して表示が変わります。ラベルやゾーンスタンプについては、オブジェクト内で回転対応が行われているものは同様に変更されます。
ラベル:
発行
関連する記事
macOS Tahoe
in
インストール&アップデート
重複を確認アドオン
in
プロジェクト管理
Graphisoft ID: Graphisoftのすべての製品とサービスへのアクセス
in
ライセンス
アクセサリーアドオン
in
モデリング
Graphisoft Communityのプロファイルで通知設定をカスタマイズする方法
in
Communityの使い方
バージョン履歴
最終更新日:
2016-06-10
07:00 PM
更新者:
Michitaka Kiriki
回答が見つかりませんでしたか?
このフォーラムで
他の記事をチェック
フォーラムへ戻る
最新の解決策をチェック
採用された解決策
新しいディスカッションを始める
投稿する